Stavební pozemek Kanfanar, 1.461m2 Stavební pozemek Kanfanar, 1.461m2

170.000 €

Vybavení
  • 1.461 m2
Lokalita

KANFANAR

Popis
Prodáme stavební pozemek se 3 stavebními povoleními na 3 cenově dostupné domy.
Celková plocha pozemku je 1461 m², trojúhelníkového tvaru, maximálně využitý, pozemek se prodává se 3 stavebními povoleními.

Dům 1
- 107,80 m² obytné plochy.
- 2 ložnice
- Dům bude mít ve dvoře bazén.

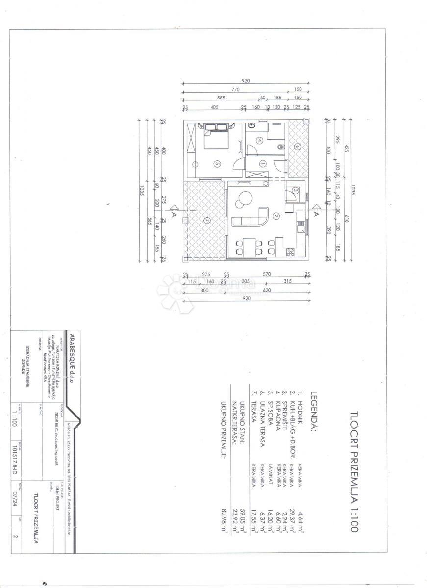
Dům 2 a 3 (půdorys pod obrázkem číslo )
- 82,98 m² obytné plochy.
- bude mít identický půdorys, bude mít charakter jednopokojového bytu o celkové výměře 80 m²
- výstavba bazénu se neplánuje

Jedná se o ideální příležitost pro ty, kteří hledají investiční příležitost do menších objektů.
Infrastruktura (elektřina, voda a telefon) k dispozici vedle pozemku.
Zpevněná příjezdová cesta, na konci slepé ulice.

Přehled
  • Typ nemovitosti: Pozemek
  • Plocha: 1461 m2
  • Plocha pozemku: / m2
  • Pokoje: / pokoje
  • Koupelny: / pokoje
  • Parkovací místa: /
  • Parkovací místo: /
  • Garáž: /
  • Podlaží: /
  • Výhled z nemovitosti: /
  • Energetická třída: /
  • Počet zobrazení: /
Detaily nemovitosti
Typ nemovitosti
Pozemek
Plocha
1461 m2
Plocha pozemku
/ m2
Pokoje
/ pokoje
Koupelny
/ pokoje
Parkovací místa
/
Parkovací místo
/
Garáž
/
Podlaží
/
Výhled z nemovitosti
/
Energetická třída
/
Počet zobrazení
/
Zobrazení na mapě
  • Město
    KANFANAR
  • Region
    ISTARSKA
Informace o kanceláři
Dogma nekretnine d.o.o.
Kontaktovat prodejce
Dogma nekretnine d.o.o.
Gianna Brženda - DOGMA PULA
+
=